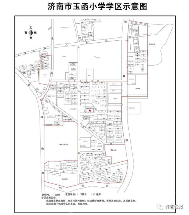
权威学区房范围再添俩区!济南市市中区、历城区小学学区范围图来啦!速速收藏
2017-06-27 09:35:48 来源: 齐鲁晚报
[ 摘要 ]权威学区房范围再添俩区!济南市市中区、历城区小学学区范围图来啦!速速收藏



































历城区












济南其他区小学学区划分
我们后续会持续更新
或请您留意各区教育局网站或学校网站关注此类消息

声明:以上资讯中涉及到的面积均为建筑面积
相关新闻
-
济南首批433套配售型保障房本月发售,市民看房热情高涨,9月还将有项目入市
2025-06-16
-
新规1号作品 | 济南观山隐秀美学逸境示范区,实景开放
2025-05-06
-
济南3000套特惠房源来了
2025-02-12
-
济南房价情况,最新公布
2024-01-30
-
济南第六座万达广场开工,落子西客站片区
2024-01-08


